[颱風] 哈隆颱風投落送數據 (第二次)
日本氣象廳委託名古屋大學再次執行投落送
https://x.com/TRCatYNU/status/1975705138129162639
日本氣象廳也在下午1點公佈投落送實測資料
https://www.wis-jma.go.jp/d/o/RJTD/Alphanumeric/Upper_air/TEMP_DROP/20251008/(RSMC的OpenData有存取時限,請留意+自行備份)
(有興趣的板友可以自行用BUFR分析)
ECMWF免費分析器:https://codes.ecmwf.int/bufr/validator
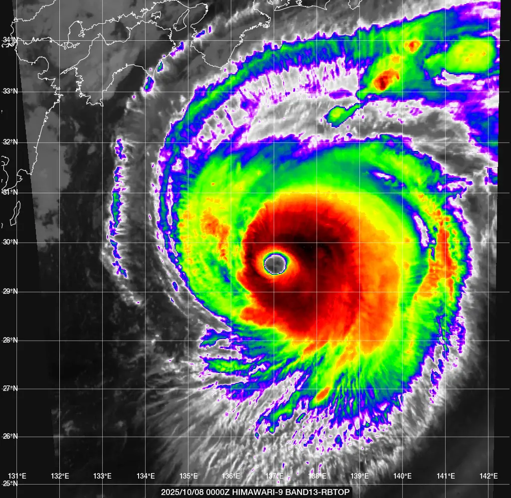
在最後一次的報告中在眼內側得中心最低氣壓約947.5百帕
(感謝krichard2013大大做出投落送位置疊加雲圖的示意圖)
https://i.meee.com.tw/kXm4eoX.jpg

同時日本氣象廳因應巔峰強度對日本本土產生威脅而召開臨時記者會
https://www.jma.go.jp/jma/press/2510/08a/tokukei_yokoku.html
日本氣象廳認為黑潮的海水溫度有助於哈隆的強度維持
https://i.meee.com.tw/yO5PBXD.jpg

從昨天晚間到現在都是處在巔峰狀態
如果到明天都還能維持強度或更強都將是災難
各機構00Z評級如下:
機構代號 T指數 CI指數
KNES 6.0 6.0
PGTW 6.0 6.0
RJTD 6.0 6.5
RCTP 6.5 6.5
BABJ - 6.5
https://i.meee.com.tw/Y5OfFCX.png



這幾天還適逢中秋大潮 現在只期望災害能達到最小
去日本關東甚至海邊的朋友 請留意長浪與風暴潮導致的影響 留意自身安全
https://i.meee.com.tw/LyUfI0j.jpg

--
※ PTT留言評論
※ 發信站: 批踢踢實業坊(ptt.cc), 來自: 59.127.163.9 (臺灣)
※ PTT 網址
※ 編輯: kadar (59.127.163.9 臺灣), 10/08/2025 15:01:43
※ 編輯: kadar (59.127.163.9 臺灣), 10/08/2025 17:31:16
推
今天實測感覺是減弱了 剩947、949 巔峰應該是昨晚
推
21Z的sar支持130,昨天1150Z風吧的暖心分析可推估93
→
6hpa左右的氣壓
爆
[閒聊] 週五放颱風假的可能性09:50更新 日本氣象廳更新 …… —————————————————![[閒聊] 週五放颱風假的可能性 [閒聊] 週五放颱風假的可能性](https://i.imgur.com/kebJC5jb.jpeg)
37
[資訊] 7號颱風 安比7號安比颱風已形成,預測將於15日之後逐漸影響日本 ,16日至17日上午可能對關東、東北地區造成影響。 請留意最新資訊。 氣象廳預測![[資訊] 7號颱風 安比 [資訊] 7號颱風 安比](https://www.windy.com/img/socialshare3.jpg)
29
[問卦] 日本氣象廳半夜開記者會?直播連結 夜晚閒晃突然發現,日本氣象廳居然半夜在開記者會勒~ 有沒有這次日本的八月梅雨下雨下到日本氣象廳半夜突然開記者會的八卦啊? 午前3時15分ごろから気象庁の会見の様子をお送りします。 「大雨特別警報」が佐賀県武雄市、嬉野市、長崎県波佐見町、川棚町、東彼杵![[問卦] 日本氣象廳半夜開記者會? [問卦] 日本氣象廳半夜開記者會?](https://img.youtube.com/vi/fpTrkNwTh1M/mqdefault.jpg)
22
[問卦] 日本鹿兒島地震的強度增加了?日本氣象廳剛剛更新 吐噶喇列島地震的統計數據 從日本時間6/21早上八點開始 直到今天下午4點為止 吐噶喇列島已經累積多達911次地震![[問卦] 日本鹿兒島地震的強度增加了? [問卦] 日本鹿兒島地震的強度增加了?](https://i.imgur.com/4vSAToKb.jpeg)
20
[爆卦] 印尼火山大規模爆發 日本氣象廳海嘯影響日本氣象廳指出,印尼蘇門答臘島馬拉皮火山(Marapi)在晚間發生大規模噴發噴煙達到了 約1萬5000米的高度。受到這次噴發,氣象廳正在調查海嘯對日本的影響,如果這次噴發導 致海嘯到達日本的話,預計到達時間最早在沖繩縣3日下午9點左右。![[爆卦] 印尼火山大規模爆發 日本氣象廳海嘯影響 [爆卦] 印尼火山大規模爆發 日本氣象廳海嘯影響](https://i.imgur.com/B5qp3bJb.jpg)
10
Re: [新聞] 小犬增為「大型強烈颱風」 日氣象廳預請注意,新聞媒體又使用聳動標題來騙點閱率, 在三立林偉帆事件之後,依然有媒體和記者, 繼續使用這種聳動標題來發新聞, 之前也曾在板上討論過相同議題:#1axhdXxa (Gossiping) 先附上分級對照表![Re: [新聞] 小犬增為「大型強烈颱風」 日氣象廳預 Re: [新聞] 小犬增為「大型強烈颱風」 日氣象廳預](https://i.imgur.com/JNj9d76b.jpg)
9
[遊記] 2023颱風天大阪遊記(圖多)造訪日期:2023年8月 文章開始前,先提醒大家,此遊記是在颱風強度規模為「強烈熱帶暴風」情況下進行 如果大家出遊當天「日本氣象廳」對颱風的規模評估是「強颱」(日本標準)以上的話,也 等於是接近台灣的中颱強度,就不建議大家出門了 我是去年2023年8月14日在大阪遊玩,一直在8月14日以前,「日本氣象廳」都是定位為「颱![[遊記] 2023颱風天大阪遊記(圖多) [遊記] 2023颱風天大阪遊記(圖多)](https://i.imgur.com/rG3sNqZb.jpeg)
7
[討論] 關於風速依海拔換算其實早在很久以前,NHC就有根據投落送的剖面進行一系列的統計。 有興趣可以參考NHC官網的一篇文章。 我們簡單來看文中的表,在成熟颶風的眼牆,海平面風速以33ft為基準(10m高) 如果來看烏坵測站,海拔49m,風速計應該也是以上10m。8
[颱風] 請問投落送觀測想知道投落送的結果會即時拿到嗎?對路線預測有什麼影響嗎? 以前常常有颱風的時候就會飛出去投,但是看看網頁資料已經兩年沒有再去追了? 謝謝 (好久沒有追風的外行湊熱鬧) --![[颱風] 請問投落送觀測 [颱風] 請問投落送觀測](https://cdn2.ettoday.net/images/7868/e7868514.png)
3
[地震] 格陵蘭島海域爆發強震示警川普規模6.5,還選在日本311前一天地震,夠直接了當不演了吧! 震央位於北極(揚馬延島)附近,地震震級估計為 6.5 。 據估計,震央附近揚馬延島地區的震動最大強度達到修正麥加利地震強度表 VIII 級左右。![[地震] 格陵蘭島海域爆發強震示警川普 [地震] 格陵蘭島海域爆發強震示警川普](https://i.imgur.com/rbbOpJhb.jpeg)
![[討論] 93W TD[W] [討論] 93W TD[W]](https://i.duk.tw/sa3bLi.png)